Ministro de Defensa destaca colaboración Reino Unido-RD Felicita a tripulación Buque DAUNTLESS en sus labores frente al narcotráfico y huracanes 10 octubre, 2023
Grace ya está cerca: se moverá este lunes sobre R. Dominicana y Haití, informa el CNH 15 agosto, 2021
El terremoto en Haití, en el oeste, se sintió levemente en SDE; por el Este se aproxima la tormenta Grace 14 agosto, 2021
Llegó la hora de comenzar los preparativos: para RD está en vigor aviso de tormenta tropical 10 agosto, 2021
Servicios meteorológicos emiten aviso potencial ciclón tropical afectaría el sur de La Hispaniola el sábado 30 junio, 2021
Durante años ha informado sobre desastres naturales; ahora dice en las redes que ha dado positivo de Covid-19 10 octubre, 2020
Se disparan las alarmas en el ASDE por impacto inminente de la potencial tormenta tropical nueve 29 julio, 2020
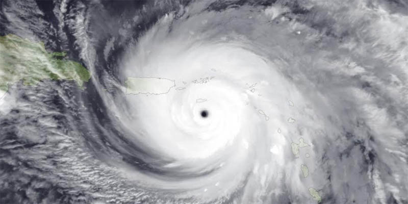
Así se ve desde el espacio la potencial tormenta tropical 9, que va rumbo a República Dominicana + Vídeo 29 julio, 2020